228-230,238,240 Route 52 | Kent

$600,000

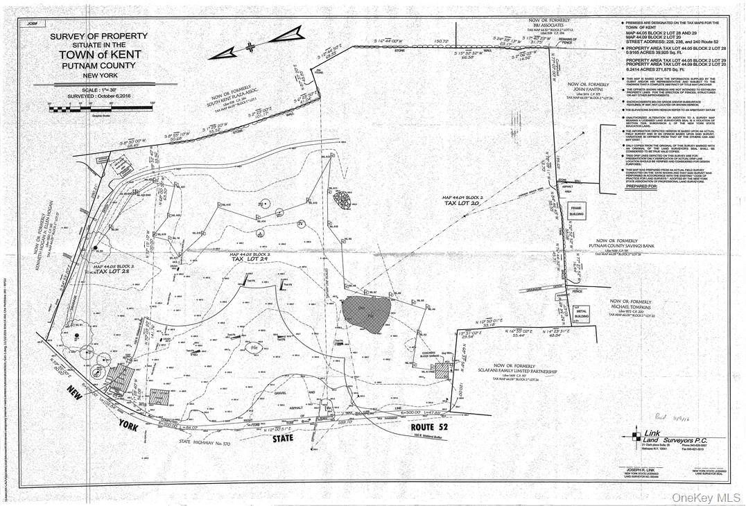
FULLY AVAILABLE! Just under 7 ACRES of COMMERCIAL land with approx. 625 +/- feet of road frontage. Ideal location with fantastic exposure and visibility going north and south on Route 52 in Kent, NY (Carmel PO). ALL 3 parcels area being sold TOGETHER. The 3 parcels are as follows Tax ID#: 44.9-2-20 (228-230 Route 52, Kent / 3.48 ACRES). Tax ID#: 44.5-2-28 (238-240 Route 52, Kent / .95 ACRES) Tax ID#: 44.5-2-29 (238 Route 52, Kent / 2.39 ACRES) Survey attached in documents. There was a Bar/Restaurant on this site many years ago as well as a single-family home. OneKeyMLS H6319254

Directions to property: Traveling North on Route 52 the property is on the right just before Kenny's Carpet. Large white sign.

MLS Listing ID: 
OneKeyMLS H6319254
Community Information
School District: 
Carmel Central
Room Details
Details about the rooms in the building.
Total Bedrooms: 
0
Total Bathrooms: 
0
Total Full-Bathrooms: 
0
Total Half-Bathrooms: 
0
Utilities
Information about utilities available on the property.
Heating System: 
None,Other
Cooling System: 
None
Water Source: 
None
Sewer: 
None
Lot/Land Details
Details about the lots and land features included on the property.
Waterfront: 
0
Public Record
Parcel Number: 
372200-044-009-0002-020-000-0000
Listing Dates
Dates involved in the transaction.
Listing Entry Date/Time: 
7/20/2024
Listing Participants
Participants (agents, offices, etc.) in the transaction.
Listing Agent Name: 
Angela J. Briante
Listing Office Name: 
Briante Realty Group, LLC